Baugebiete
Hier finden Sie Informationen zu Bebauungsplänen in der Gemeinde
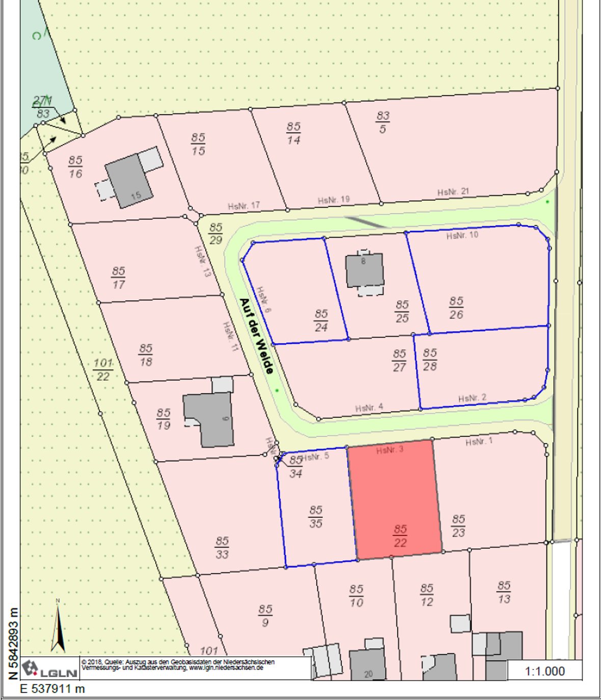
Baugebiet "Auf der Weide" in Büchten - FREIE GRUNDSTÜCKE

rot hinterlegt = reservierte Grundstücke
blau umrandet = freie Grundstücke
Bei Interesse oder für weitere Informationen wenden Sie sich bitte an die
Gemeinde Grethem
-FD 2.60 Planen & Bauen-
Bahnhofstraße 30
29693 HodenhagenFachdienstleiterin Frau Schirza
Durchwahl: +49 5164 9707 741
Mobil: +49 162 1368975
Telefax: +49 5164 9707 797Kontakt: samtgemeinde@ahlden.eu
B-Plan Nr. 9 - Hinter dem Dorfe III

Der Rat der Gemeinde Grethem hat in seiner Sitzung am 21.06.2021 den Bebauungsplanes Nr. 9 "Hinter dem Dorfe III" (Wohnbauflächen in Büchten) als Satzung sowie dessen Begründung beschlossen. Folgende Unterlagen stehen hierzu zur Verfügung:
- Öffentliche Bekanntmachung
- VerfahrensunterlagenAus den vorherigen Verfahrensschritten während der Aufstellung des Bebauungsverfahrens stehen Ihnen die folgenden Unterlagen zur Einsicht zur Verfügung:
Öffentliche Auslegung:
